Получите ответ на вопрос по 1С бесплатно, заполните заявку
Чтобы сформировать данный отчет, зайдите в раздел «Администрирование» ‒ «Отчеты администратора» ‒ «Универсальный отчет».
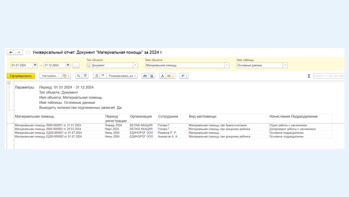
В шапке отчета выберите тип объекта: «Документ» ‒ «Имя Объект» ‒ «Материальная помощь» ‒ «Имя таблицы» ‒ «Основные данные».
Зайдите в настройки, перейдите во вкладку «Поля и сортировки». Оставьте те галочки, которые вам нужны в таблице отчета.

Далее, чтобы добавить подразделение, нажмите на кнопку «Добавить», в поле поиска введите подразделение и выберите «Начисления. Подразделение».

Чтобы делать отбор по данным (сотрудник, подразделение и вид материальной помощи), зайдите во вкладку «Фильтр» ‒ «Добавить фильтр», подтяните данные разделов «Вид матпомощи» и «Начисления. Подразделение».
После перейдите в отчет и в шапке профиля нажмите на «Фильтр», далее поставьте галочки на трех отборах, которые выйдут в шапку профиля.

Далее отчет можно будет сохранить, нажав на папочку «Сохранить как».

Настроенный отчет будет выглядеть таким образом:

На любой вопрос по работе в программах 1С ответит наш специалист. Звоните по телефону: +7 (499) 956-21-70 или обращайтесь по электронной почте tlm1c@4dk.ru.